Select to view content in your preferred language

Advice on multi-lot subdivisions

2130
3
Jump to solution
05-26-2021 01:46 PM
Labels (1)
anna_garrett
Frequent Contributor

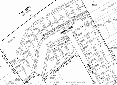
I am looking for any advice on how to tackle large multi-lot subdivisions where only a portion of the parcels are identical. It seems the divide tool works fine when all the lots are identical, but how often is that actually the case? Using the traverse tool is fine for when I have a subdivision or replat with only a couple of lots. 

Will I actually have to sketch and build every parcel individually? I can't find much in the tools or documentation regarding the problem I'm facing. I rarely get CAD files. 99.9% of the plats I get are in PDF format. Before suggesting getting plats some other way - I cannot. 

This is an example from one of the plats I have coming up in the next tax year:

beachside.png

I'm at a loss for how to handle this without the old parcel fabric toolset. Has anyone else tackled this yet?

Tags (2)
0 Kudos
1 Solution

Accepted Solutions
jcarlson
MVP Esteemed Contributor

Oof, I've been there. The Divide tool is still super useful here, but as part of a larger process. Here's what we do:

  1. Use Traverse to draw up the full subdivision boundary. Get the subdivision itself nicely anchored and aligned to your existing parcel features.
  2. Use Copy Lines To to copy those outer boundary lines into your Lots layer.
  3. Turn off the Subdivision layer and do the rest in your Lots.
  4. Use Divide to break up the outer boundary at lot corners.
  5. Use Traverse to do large interior boundaries like outlots and right-of-ways. Even if the right-of-ways aren't maintained as private lots, just draw them up like they're lot features, you'll see.
    1. To get the interior boundaries consistent with your exterior, be sure to set the closing location, as these inner traverses will not be closed shapes.
  6. Use Divide on those inner boundaries you just drew to break them at lot corners.
    1. The Varying Distances option is very, very nice here
      jcarlson_0-1622063615104.png
  7. Now you've got your big inner and outer boundaries, all split up at where the parcel corners are.
  8. Create lot lines.
    1. Click the blue arrow next to the template to view the active template.
    2. Turn off "continue two-point lines"
      jcarlson_1-1622063764248.png
    3. For drawing a series of identical boundaries, you can set the attributes here as well, and newly-created lines will all share the same attributes
      jcarlson_2-1622063836304.png
    4. Now draw corner to corner (snapping to endpoints) for all your lots, adjusting the active template preset attributes as needed for different lines. Even if you're just drawing one, it's worth setting the attributes there so that you don't need to open and adjust the attributes and wait for those edits to apply.
  9. Create Seeds and Build Record
  10. Select the right-of-way areas and use "Change Parcel Type" to move them to the appropriate layer.
- Josh Carlson
Kendall County GIS

View solution in original post

3 Replies
jcarlson
MVP Esteemed Contributor

Oof, I've been there. The Divide tool is still super useful here, but as part of a larger process. Here's what we do:

  1. Use Traverse to draw up the full subdivision boundary. Get the subdivision itself nicely anchored and aligned to your existing parcel features.
  2. Use Copy Lines To to copy those outer boundary lines into your Lots layer.
  3. Turn off the Subdivision layer and do the rest in your Lots.
  4. Use Divide to break up the outer boundary at lot corners.
  5. Use Traverse to do large interior boundaries like outlots and right-of-ways. Even if the right-of-ways aren't maintained as private lots, just draw them up like they're lot features, you'll see.
    1. To get the interior boundaries consistent with your exterior, be sure to set the closing location, as these inner traverses will not be closed shapes.
  6. Use Divide on those inner boundaries you just drew to break them at lot corners.
    1. The Varying Distances option is very, very nice here
      jcarlson_0-1622063615104.png
  7. Now you've got your big inner and outer boundaries, all split up at where the parcel corners are.
  8. Create lot lines.
    1. Click the blue arrow next to the template to view the active template.
    2. Turn off "continue two-point lines"
      jcarlson_1-1622063764248.png
    3. For drawing a series of identical boundaries, you can set the attributes here as well, and newly-created lines will all share the same attributes
      jcarlson_2-1622063836304.png
    4. Now draw corner to corner (snapping to endpoints) for all your lots, adjusting the active template preset attributes as needed for different lines. Even if you're just drawing one, it's worth setting the attributes there so that you don't need to open and adjust the attributes and wait for those edits to apply.
  9. Create Seeds and Build Record
  10. Select the right-of-way areas and use "Change Parcel Type" to move them to the appropriate layer.
- Josh Carlson
Kendall County GIS
anna_garrett
Frequent Contributor

You really are the MVP. Thank you SO MUCH for all the help, I can't afford a trophy so please accept this instead 🏆

jcarlson
MVP Esteemed Contributor

Accepted! Happy to pass along what I've learned. I've got a few "redraw the whole subdivision"s to show for it.

- Josh Carlson
Kendall County GIS