Select to view content in your preferred language

.Tiff is not showing land use classifications (instead showing RGB)

5667
4
Jump to solution
09-04-2023 05:26 PM
Labels (1)
r2theoozbeck
New Contributor

Hello. I am trying to load rasters into ArcGIS Pro Desktop, but the land use classifications are not appearing; instead I am seeing RGB (Red Green Blue) bands when I load the rasters. 

For context, I am using great publicly available 1m by 1m raster land use data by Univ of North Carolina (https://urbanwatch.charlotte.edu/product). Here are the land use classifications: 

Screenshot 2023-09-04 201255.png

and here is the image of one of the .tif files when I just open it up on my computer as a photo: 

Screenshot 2023-09-04 202044.png

 

As you can see, there are a variety of colors representing the different land classes. Theoretically, I should be able to load this .tif and then click on an area and uncover the land class. 

But when I load in the .tif files, they are showing up as RGB, shown here: 

Screenshot 2023-09-04 201327.png

 

Is ArcGIS Pro Processing the .tif's incorrectly? How can I get these classifications to appear? 

Thank you for your support and time. 

0 Kudos
1 Solution

Accepted Solutions
Luke_Pinner
MVP Regular Contributor

Another way would be to Combine (Spatial Analyst) the 3 bands.

You need to add them to the map (or tool) separately, not as the tif. e.g.

Luke_Pinner_0-1693965619430.pngLuke_Pinner_1-1693965703305.png

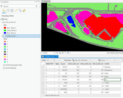
The output will contain the RGB values as fields.  You can then add a class field which you can update from the known RGB values:

Luke_Pinner_2-1693965972669.png

 

View solution in original post

0 Kudos
4 Replies
DanPatterson
MVP Esteemed Contributor

Do the rasters have an attribute table you can open?

Raster dataset attribute tables—ArcGIS Pro | Documentation

can you symbolize them using unique classes?

Change the symbology of imagery—ArcGIS Pro | Documentation


... sort of retired...
0 Kudos
Luke_Pinner
MVP Regular Contributor

I downloaded a couple. They're definitely 3 band RGB (tested with GDAL and QGIS as well) with no attributes.  I think it's just a poor choice of  output format by the authors.  

However, it's a very simple classification:

255,0,0 = Building

133,133,133 = Road

128,236,104 = Grass/Shrub

34,139,34 = Tree canopy

etc... 

0 Kudos
r2theoozbeck
New Contributor

Dear Luke, Thanks for simplifying this problem. Would you recommend that the next step is to consolidate the RGB tiff files into a mosaic, and then supervise classify the pixels of the mosaic? (Not sure if I used the right language in my question..)

So, I mean just input the values for RGB and create a label and color based on the classification. P.S. Did you obtain the pixel values by sort of spot checking? I spot checked by referencing the .tiff images and got these values, similar to you: 

255,0,0 = Building

133,133,133 = Road

128,236,104 = Grass/Shrub

34,139,34 = Tree canopy

255, 0, 192 = Parking Lot

0, 0, 255 = Water

255, 255, 255 = Other

128, 0, 0 = barren

255, 193, 37 = Agriculture

0 Kudos
Luke_Pinner
MVP Regular Contributor

Another way would be to Combine (Spatial Analyst) the 3 bands.

You need to add them to the map (or tool) separately, not as the tif. e.g.

Luke_Pinner_0-1693965619430.pngLuke_Pinner_1-1693965703305.png

The output will contain the RGB values as fields.  You can then add a class field which you can update from the known RGB values:

Luke_Pinner_2-1693965972669.png

 

0 Kudos