Select to view content in your preferred language

How do I draw curves without chord bearing information?

4132
4
Jump to solution
11-28-2022 01:49 PM
Labels (1)
avonmoos
Regular Contributor

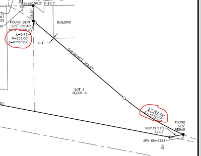
The two curves circled below don't include chord bearing information. What is the easiest way to draw these in?

avonmoos_0-1669672000272.png

 

avonmoos_0-1669672252683.png

 

 

0 Kudos
1 Solution

Accepted Solutions
jcarlson
MVP Esteemed Contributor

Did you try the "delta angle" option?

jcarlson_0-1669727236111.png

Entering the delta angle and the radius yields a curve with the correct arc length.

jcarlson_1-1669727292588.png

 

Even though the Traverse is typed up with tangent bearings, it inserts the chord bearing into the COGO attributes. You can see that the calculated chord bearing based on the delta angle matches what you calculated.

 

jcarlson_2-1669727354292.png

Outside of the traverse, I was able to confirm that using the Circular Arc tool does present the same option of delta angles. So either way you come at it, you can easily enter the information given on the plat and get correct, accurate COGO lines. No magic required, just using the appropriate tools.

jcarlson_3-1669727702212.png

 

- Josh Carlson
Kendall County GIS

View solution in original post

4 Replies
jcarlson
MVP Esteemed Contributor

I just hate when they do that! I've got whole subdivisions I can't fully draw up because I don't have enough information about some of the curves, and they have no tangent segments to start from.

In this case, however, they are giving you the delta angle, and i think it's fairly safe to assume that the curves are tangent to the S49-39-46E segment. If you're using the Pro Traverse, you can actually specify delta angle as an input when chord bearings are unavailable. The "circular arc" tool may also have this option, though I don't have Pro open right now to check.

- Josh Carlson
Kendall County GIS
0 Kudos
avonmoos
Regular Contributor

We were able to decipher the chord bearings in CAD by doing some magic and the top CB is S50-23-27E and the bottom CB is S58-18-31E. Doesn't seem to be an easy way to come up with that in ArcPro. Thanks for the info @jcarlson 

0 Kudos
jcarlson
MVP Esteemed Contributor

Did you try the "delta angle" option?

jcarlson_0-1669727236111.png

Entering the delta angle and the radius yields a curve with the correct arc length.

jcarlson_1-1669727292588.png

 

Even though the Traverse is typed up with tangent bearings, it inserts the chord bearing into the COGO attributes. You can see that the calculated chord bearing based on the delta angle matches what you calculated.

 

jcarlson_2-1669727354292.png

Outside of the traverse, I was able to confirm that using the Circular Arc tool does present the same option of delta angles. So either way you come at it, you can easily enter the information given on the plat and get correct, accurate COGO lines. No magic required, just using the appropriate tools.

jcarlson_3-1669727702212.png

 

- Josh Carlson
Kendall County GIS
avonmoos
Regular Contributor

Excellent! That did the trick.

0 Kudos