Select to view content in your preferred language

Best Workflow for a parcel Split with COGO for only one child parcel

873
1
10-20-2021 12:28 PM
AndrewWallick
Frequent Contributor

I've got a split to do on this parcel, pretty much where the red line is drawn in (there's no line there currently). I've just done Copy Lines To on the parent parcel. The plat gives me bearings and distances for the child parcel on the right, but not the one on the left.

What would be the recommended workflow to draw the new lines in?

AndrewWallick_2-1634756990330.png

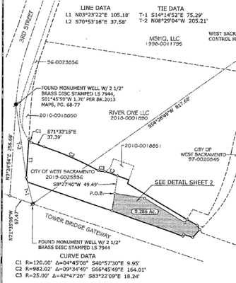
Here's the plat - the shaded area is the new parcel, and the red arrow points to the line in the same location as the red line in the screenshot above.

AndrewWallick_3-1634757466386.png

 

One issue is how to split the highlighted line in the first screenshot. If I split it based on the length of the new half of the line (208.51'), it doesn't line up exactly - since the measurements are all new.

Workflow I'm considering:
1) Start a traverse at the north point of the red line
2) Draw the red line in going SE - hopefully that intersects the highlighted line to provide a good location to split it.
3) Delete the lines for the east child parcel, then COGO them in with the new bearings/distances.

Is there a better way to do this? I want to make sure I'm ending up with as accurate of child parcels as I can.

 

For reference, here's the other page of the plat:

AndrewWallick_4-1634757987691.png

 

 

 

 

 

 

0 Kudos
1 Reply
jcarlson
MVP Esteemed Contributor

If you trust the COGO data on the copied line, then you sort of do know the COGO for the remainder. (I notice the screenshot shows curve attributes, but the plat has a straight line.)

Since the SW line is the only one being modified in this instance, you can simply select that line and use the Divide tool. If you enter the distance from the plat, 208.51, the remainder of the line will be given the calculated remainder of the COGO distance/arc length value.

From there, you'll have a corner that came in with the copied lines and a new endpoint from the Divide tool. You can simply draw the boundary segment between those two and enter its COGO values according to the plat.

If you're concerned that the segment may not be accurate, you can always do a Consistency Check on the parcels afterward.

Regarding the new measurements, if this plat is more accurate or authoritative than the existing data, consider adjusting and updating the lines within the record. The historic lines (and their older, less accurate COGO values) will be preserved and tied to their respective record.

I would also say that you do not want to delete the lines and traverse in the new ones. Doing so will not adjust the position of the historic lines, and your fabric will get messy here with historic and current boundaries being misaligned.

Then again, that's only important if it's clear that the new measurements and the existing lines are indeed referring to the same boundary, not establishing a totally new one.

EDIT: By adjusting and updating the lines, I mean using "reshape", "align features", or other similar tools, which will preserve the topological relationship between what you're drawing and what already exists.

- Josh Carlson
Kendall County GIS
0 Kudos