Hello everyone!
I am seeking some advice on fixing my current workflow.
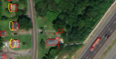
I am trying to trim the side of a building footprint polygon that is furthest from the adjacent road (See image below). So far, I have started with generalizing the shapes by 5ft. Next, I used the Feature Vertice to Points tool to create points on the building footprints. Next, I retrieved the X,Y's. From there, I used the Delete Identical tool to delete the Vertice where the polygon closes and then ran the points to line tool. While this workflow creates the building footprint with an open side. It does not allow me to control where it closes/stays open. Does anyone have any advice on a workflow that allows me to trim the side that is furthest from the adjacent road without deleting the sides manually?
