Select to view content in your preferred language

Georeferencing in ArcGIS Pro in 5 Minutes: Rubbersheeting

6837
5
08-10-2021 06:27 AM
Labels (1)
MichaelRink
Esri Contributor

In this 5 minute video learn best practices to georeference imagery using rubbersheeting techniques in ArcGIS Pro. This video was recorded using ArcGIS Pro version 2.8 in July 2021.

For further ArcGIS training, explore Esri Academy's course catalog: https://bit.ly/3oqlqsO.

5 Replies
JoeBorgione
MVP Emeritus

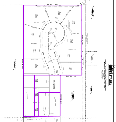
I use georeferencing almost daily in concert with the Address Data Management Solution to add new streets and site address points; below I've georeferenced a plat map of a proposed subdivision to the parcels it involves:

JoeBorgione_0-1628612765028.png

After that's done, adding the new street and subsequent address points is easy.

 

That should just about do it....
0 Kudos
Michael_Rink
Emerging Contributor

That is wonderful to hear Joe!  So glad you are using (and hopefully enjoying) georeferencing in Pro!

0 Kudos
JamesMisfeldt
Esri Contributor

This is an awesome video Mike!  I don't have any rubbersheeting experience, but feel like I have a pretty good handle of how it works after just 5 minutes.

0 Kudos
GeorgeNwankpa
Emerging Contributor

Thanks Michael, i did a course on georeferencing about two weeks ago, and this video simplified things further for me.

0 Kudos
Michael_Rink
Emerging Contributor

That's great to hear George!  Please reach out to me if there are specific questions I can help answer...

 

---mike (mrink@esri.com)

0 Kudos